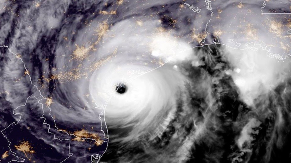
Hurricane Harvey: What you need to know
Unprecedented flooding may be the result of this slow-moving tropical cyclone, fed by the overly warm Gulf of Mexico.

What made this hurricane so potentially dangerous?
Longevity, in a word. Hurricane Harvey is forecast to stay in the area for as long as four days. It will decline in wind strength so it will stop being called a hurricane by Sunday, but the wind is not the main story.
Tropical cyclones are classified by wind strength, progressively named depression, storm, and then hurricane as the wind power increases. At all stages, they produce vast amounts of rain. Even if they pass through they can leave 300mm of rain in a few hours.
Harvey isn’t moving much at all now so will produce heavy rain in the same place for days on end. Forecast models give the highest figure of about 400mm of rain in Texas Hill Country, west of Austin, and as far away as southwest and central Louisiana. As much as 1,000mm is forecast for the coastal lands east of Harvey’s centre (the city of Victoria).
| More than 450,000 Harvey disaster victims expected to file for aid |
These rainfall figures may be on the low side – the city of Victoria has already reported 417mm collected in the last 24 hours.
In Harvey’s case there has been a lack of steering winds. Consequently Harvey has been travelling at little more than walking pace for several days. That, combined with its close proximity to the Gulf of Mexico, has allowed torrential rain to fall in the same parts of Texas for almost five days.
Why all this talk about storm surge?
Hurricanes are like a hole in the atmosphere. Think of the views as seen from space. In the middle, air pressure is much lower than the atmospheric norm.
Harvey dropped down to below 940mb and this creates an imitation vacuum cleaner. Water tries to fill from below, so effectively a hurricane pulls a dome of water with it. In addition, persistent wind piles up the water on one side of a hurricane, in this case, the eastern side.
The resultant storm surge has already been measured at two metres above normal high tide at Port Lavaca. If you add waves on top of that at high tide, you create a threatening wall of water that is virtually unstoppable.
These are reasons why levees have been built along the southern coasts, but prolonged or repeated water pressure and insufficient maintenance can breach levees. In the case of this part of the Texas coast, there is an outer barrier island with entrances to inner lagoons. The land beyond is naturally low-lying. This is obviously prone to flooding and very slow to drain.
Now that as much of one metre of rain has fallen in the Houston area, the concern is how that rainwater will find its way back into the water table.
| Thousands seek shelter from floods after Harvey |
Two reservoirs, Addicks and Barker, are used for temporary water storage. These were emptied in advance of Harvey, but they now stand at record levels.
It is a similar story at Buffalo Bayou, which flows from the reservoirs into downtown Houston. Record levels are putting pressure on the earthen dams that are more than 70 years old.
This is why the National Weather Service continues to warn of ‘catastrophic’ and ‘life threatening’ flooding in southeastern Texas and southwestern Louisiana.
When will it be over?
The flooding from Harvey is expected to continue for at least another 48 hours. Harvey will track towards the northeast, taking it across the Louisiana border during Wednesday. By the time Harvey crosses the border with Arkansas on Wednesday night it will probably have lost enough energy to be downgraded as a tropical depression.
Harvey will continue to break up during Friday and Saturday, but it could still cause some less serious flooding as far north as Illinois and Indiana.
Where did it come from?
Africa. Most Atlantic hurricanes start with a cluster of thunderstorms in tropical Africa. Just like the system that brought the deadly landslide to Freetown, Sierra Leone. Then, there is a long track across the warm tropical Atlantic waters. As long as water temperatures are above 27C, then when the storm cluster encounters the right atmospheric conditions, it will start to revolve and intensify.
| Harvey forces 30,000 people to evacuate in Texas |
Harvey did just this and encountered its first land in Barbados a week ago. On August 18, it crossed the island as a tropical storm. It then lost its identity, followed the breeze as a cluster of storms, crossed the Yucatan Peninsula, and emerged into the Gulf of Campeche.
All this time it had been watched by forecasters with an expectation of redevelopment. That is just what happened. The Gulf of Mexico is warm – water temperatures of 29C near Campeche, Mexico and higher off the Texan coast.
Harvey quickly became a tropical storm, then a hurricane. It was steered towards the coast of Texas and strengthened more. The winds in the upper atmosphere were light so didn’t tear the hurricane apart.
Although Harvey has been downgraded to a Tropical Storm, this has made little difference to its rain-making potential. Its current slow loop over the adjacent waters of the Gulf of Mexico has allowed Harvey to develop more thunderstorms, and to increase the water content of the storm system.
Can Harvey be linked to climate change?
A definitive answer to that question will probably have to wait for months of detailed analysis of Henry, but it seems likely that there is such a link.
IN PICTURES: Harvey causes havoc in Texas
Harvey was the first hurricane to form in that part of the Gulf of Mexico. It did so because the waters of the Gulf of Mexico were exceptionally warm.
Sea surface temperatures were several degrees Celsius above the long-term average. A hurricane will feed off these warm waters, but Harvey had the benefit of warm water all the way down to 300 metres below the surface.
The lack of winds to propel Harvey in the Gulf of is the result of an expansion of the sub-tropical high pressure belt.
This is all consistent with anthropogenic [human-induced] climate change.
To cap it all, the moisture available to storm systems such as Harvey is approximately one third greater because of that climate change.
With files from Wunderground.com
